This house on Funda: https://www.funda.nl/en/detail/koop/neede/huis-borgersteeg-1/43070018/

Description
Schilderachtig wonen in knus Noordijk – Nostalgische, grote T-boerderij met vrij uitzicht
Zoekt u de rust en de ruimte van buitenaf wonen, in het gemoedelijke oosten? Dit is het land van slingerende boerenweggetjes, historische houtwallen en uitgestrekte akkers, tussen Neede en Borculo. En daar, aan de Borgersteeg, ligt “erve smeenk”; op een groot gedeeld erf staat deze prachtige boerderij. Een ruwe diamant, zo kunnen we deze fraaie T-boerderij het beste typeren. Het is een volumineuze woning, vol authentieke details en potentieel, op een fors perceel van bijna 3.000 m² met vrij uitzicht over de landerijen. Een plek waar u al uw woondromen kunt waarmaken.
De boerderij stamt uit 1913 en werd in de jaren ’70 en ‘80 flink verbouwd en uitgebouwd. Het huidige huis is qua indeling geschikt voor dubbele bewoning, bijvoorbeeld als mantelzorg- of kangoeroewoning, want het heeft een fors woonoppervlak: 219 m² voor het woonhuis, en daar komt de deel – de voormalige stal à ruim 100 m² – dan nog eens bij. Er zijn zeven slaapkamers, twee woonkamers, twee keukens en een badkamer.
Aan de slag!
De term ruwe diamant geeft al aan: het is een projecthuis. Echt structurele ingrepen dateren van alweer even geleden, maar de algehele conditie van het huis is dik in orde. Om er een helder flonkerende briljant van te maken, is er echter wel wat werk aan de winkel. De deel zou een de plek voor uw droomkeuken kunnen zijn, met een grote houtkachel, een gezellige televisiehoek en lange eettafel. Ook qua verduurzaming valt hier genoeg winst te behalen.
Noordijk en Neede
De Borgersteeg maakt onderdeel uit van Noordijk, een buurtschap even ten westen van Neede. Dorpse rust en véél natuur, dat vindt u hier; u loopt, fietst of rijdt hier zo de schitterende Needse berg op, een ongekend mooi bos met kilometers wandel-, fiets en ruiterpad. Ook het Noordijkerveld is een heerlijke plek voor een frisse neus.
Voor de dagelijkse boodschap ligt het centrum van Neede op vijf minuten, met gezellige winkelstraten, de bakker, de groenteman, en uiteraard de horeca. Door het kleurrijke textielverleden van dit plaatsje, staan er verspreid door Neede bijzonder fraaie en markante villa’s, waardoor het bekende Rondje Neede, dat langs dorp en natuur gaat, een heerlijk tijdverdrijf is.
In de nabijheid liggen plaatsen als Lochem, Borculo, Groenlo, Diepenheim, Eibergen en Haaksbergen. De grote stad, in de vorm van bijvoorbeeld Enschede en Hengelo, liggen op een ideale 20 minuten afstand (de N18 ligt vlakbij). De Achterhoek is het land van melk en honing; er zijn lokaal veel winkeltjes waar groente, vlees en zuivel direct van de bron verkrijgbaar zijn. Kortom, het leven is hier goed.
Begane grond
De klassieke deeldeuren bepalen het aanzicht. De entree bevindt zich aan weerszijden links en rechts, waar een lange gang het voorhuis scheidt van de deel.
In het voorhuis rechts bevinden zich rechts de badkamer met ligbad, inloopdouche, wastafel en WC. Links de eerste keuken: ruim, met een keukenblokje rechts en een spekstenen kachel.
Aansluitend de woonkamer, met parketvloer en een openhaard. Het vrije uitzicht is wel echt de bonus; de weidse vergezichten over de tuin en het achtergelegen grasland vormen een schilderij op zich.
Aansluitend de tweede woonunit, met een L-vormige kamer met keuken met simpel keukenblokje, de woonkamer, en een separate slaapkamer. In de woonkamer staat een gezellige gaskachel.
Verdieping
Boven bevinden zich een ruime overloop met zes slaapkamers en een separate WC.
Buitenruimte
Het huis wordt omringd door een grote tuin met diverse terrassen, borders, een groot gazon en een oude boomgaard - zoals dat hoort bij zo’n boerderij. Verder is het een blank canvas, dus: wordt het een sprookjesachtige siertuin, of juist een voedselbos? Legt u uw langgewenste zwemvijver hier aan, of wordt het een speelparadijs voor de kinderen, compleet met trapveld, schommels en trampoline? Hier kunt u uw fantasie de vrije loop laten.
Kortom
De Borgersteeg 1 wacht op haar ridder te paard. Bent u al bezig met de spreekwoordelijke potloden en bierviltjes, om uit te tekenen en rekenen hoe u hier uw droomhuis kunt realiseren? We sparren graag mee tijdens een uitgebreide rondleiding.
Algemeen:
Bouwjaar: 1913
Onderhoud: Matig
Isolatie: Gedeeltelijk dubbel glas, voorzetbeglazing
Verwarming: Middels gaskachels
Warm water: Via een geiser en boiler
Ligging: Aan de rand van Noordijk
Berging: Inpandige bergruimte op de deel
Parkeren: Voldoende parkeergelegenheid op eigen grond
Inhoud: 1.402 m³
Woonoppervlakte: 219 m²
Overig inpandige ruimte: 100 m²
Gebouw gebonden buitenruimte: 20 m²
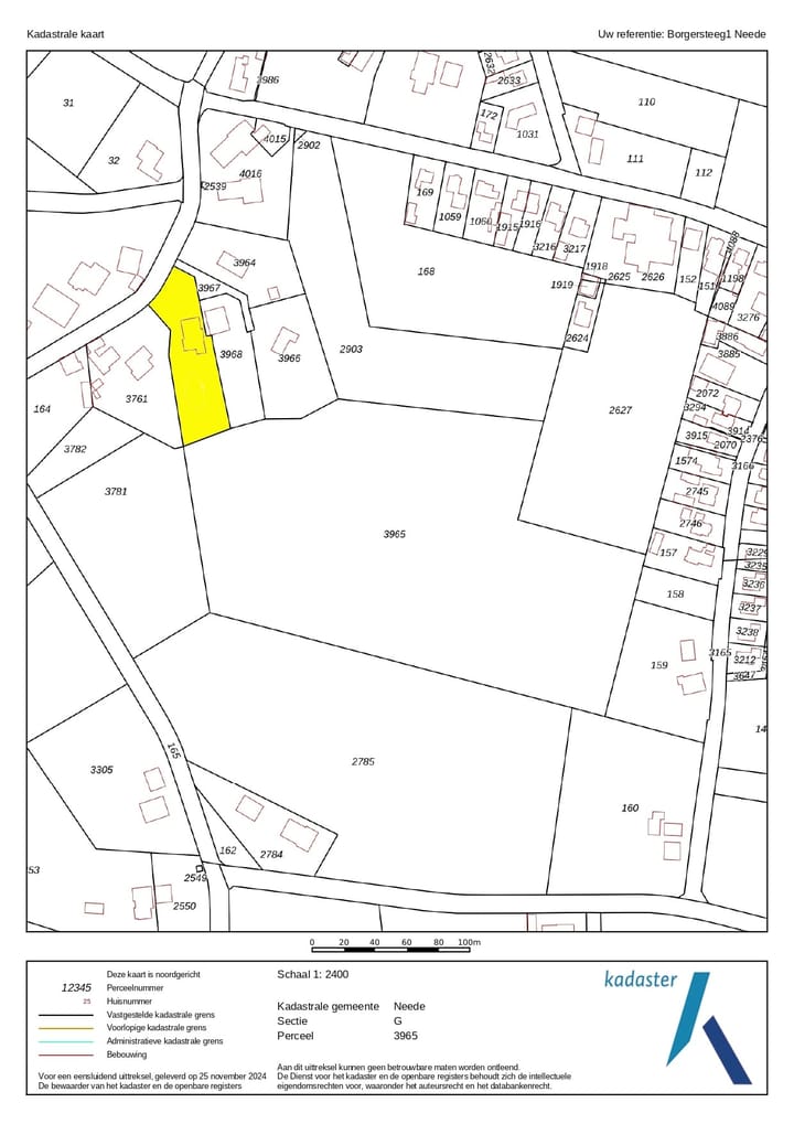
Perceeloppervlakte: circa 2.950 m² (volgt na kadastrale inmeting)
+ mandelig eigendom met Borgersteeg 1a, 1b en 1c van perceel Neede, G, 3967
Energielabel: Energieklasse G
Aanvaarding: In overleg
Deze woning is voorzien van een bouwtechnische keuring en een energielabel.
Features
Transfer of ownership
- Last asking price
- € 540,000 kosten koper
- Asking price per m²
- € 2,466
- Status
- Sold
Construction
- Kind of house
- Converted farmhouse, detached residential property
- Building type
- Resale property
- Year of construction
- 1925
- Type of roof
- Combination roof covered with roof tiles
- Quality marks
- Bouwkundige Keuring
- Accessibility
- Accessible for the elderly
Surface areas and volume
- Areas
- Living area
- 219 m²
- Other space inside the building
- 100 m²
- Exterior space attached to the building
- 20 m²
- Plot size
- 3,432 m²
- Volume in cubic meters
- 1,402 m³
Layout
- Number of rooms
- 9 rooms (7 bedrooms)
- Number of bath rooms
- 1 bathroom and 2 separate toilets
- Bathroom facilities
- Shower, bath, toilet, and sink
- Number of stories
- 2 stories
- Facilities
- Passive ventilation system and flue
Energy
- Energy label
- G
- Insulation
- Partly double glazed
- Heating
- Gas heaters and wood heater
- Hot water
- Gas-fired boiler and gas water heater
Cadastral data
- NEEDE G 3965
- Cadastral map
- Area
- 2,950 m² (part of parcel)
- Ownership situation
- Full ownership
- NEEDE G 3967
- Cadastral map
- Area
- 482 m² (part of parcel)
- Ownership situation
- Held in common ownership
Exterior space
- Location
- Alongside a quiet road, open location and unobstructed view
- Garden
- Surrounded by garden
Storage space
- Shed / storage
- Attached brick storage
Parking
- Type of parking facilities
- Parking on private property
Photos 43
© 2001-2025 funda










































