This house on Funda: https://www.funda.nl/en/detail/koop/nieuwvliet/huis-cadzandseweg-10/89392816/

Cadzandseweg 104504 AN NieuwvlietNieuwvliet
€ 349,000 k.k.
Eye-catcherRuimte, sfeer, landelijk uitzicht én gelijkvloers wonen of recreëren
Description
Jaren ’20 woning met charme en ruimte, grote tuin en overdekt terras.
Ben je op zoek naar een (tweede) huis niet ver van het strand? Een (t)huis met verrassend veel leefruimte, sfeer en comfort? Dan is dit leuke huis precies wat je zoekt. Authentieke details gecombineerd met hedendaags comfort zorgen voor een interessante mix en een unieke charme.
BIJ DEZE WONING IS EEN BOUWKUNDIG RAPPORT AANWEZIG
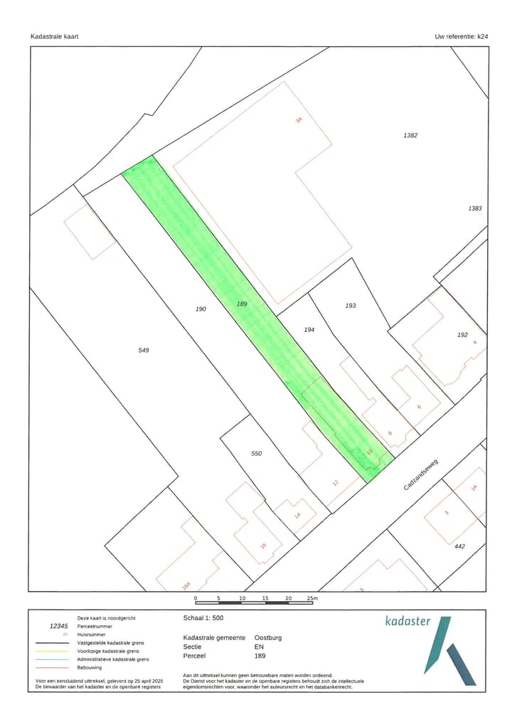
Perceelgrootte: 630m².
Bouwjaar: ca. 1918, met regelmatige vernieuwingen - ook uit 2020
Energielabel: C
3 Slaapkamers
Het huis is geschikt voor permanente bewoning én als 2e verblijf en ligt op ca. 2 km van de zee. Dit is een unieke kans. Kom langs en ontdek de mogelijkheden van deze karakteristieke woning. Want; zien is geloven!
O ja, je kunt er ook nog gelijkvloers wonen.
Indeling
Via de authentieke hal met klassieke vloer, trapkast en meterkast stap je binnen in de sfeer van de twintiger jaren.
In het gezellige voorste deel van de woning vind je de eetkamer met houten vloer, erker en sierschouw.
Aansluitend een ruime woonkeuken (2020), eveneens met eethoek en uitgerust met diverse apparatuur.
Een volgende gang geeft toegang tot het achterhuis uit 2012.
Hier vind je een badkamer met een inloopregendouche, een wastafel en het toilet. Een slaapkamer met houten vloer, lichtkoepel en een inloopkast, waar tevens de opstelplaats is voor de cv-ketel.
Tenslotte is in het achterhuis nog een zitkamer met open haard en tuindeuren naar het overdekte terras. Ook hier weer overal mooie houten vloerdelen.
Eerste verdieping
De overloop met een kast met hierin de opstelplaats voor de 2e cv-ketel,
Tevens is hier de toegang tot 2 slaapkamers en een 2e badkamer.
Deze moderne badkamer beschikt over een douche, een wastafelmeubel en een 2e toilet.
Vroeger waren er op deze verdieping 3 slaapkamers. Dit kan heel gemakkelijk weer in de oorspronkelijke staat worden teruggebracht door de grootste slaapkamer weer terug op te splitsen in 2 kamers.
Tuin
Volop genieten van het buitenleven kun je in de lange tuin met terras, waarvan het eerste deel een heerlijk royaal overdekt terras is.
De tuin is recent opnieuw aangelegd, waarbij rust en eenheid de kernwoorden waren.
Halverwege de tuin staat een nieuw houten tuinhuis en kijk je uit over de landelijke omgeving van Nieuwvliet.
Het achterste deel is nog een heerlijke rustige (lig-)weide.
Via een zij-uitgang van de tuin kom je aan de voorkant van de woning. Handig met fietsen en/of containers.
Bijzonderheden
Deze woning mag zowel voor permanente bewoning als 2e verblijf worden gebruikt.
Als je wilt, kan een groot deel van de inrichting achterblijven in de woning.
Keuken vernieuwd in 2020.
2e Badkamer eveneens gerenoveerd in 2020
De aanbouw en 1e badkamer zijn van 2012.
De moderne meterkast uit 2020 is uitgerust met 10 groepen en 3 aardlekschakelaars.
De woning is volledig voorzien van kunststof kozijnen met hr++ glas. (waarvan een deel uit 2020).
De slaapkamer boven is voorzien van rolluiken.
Er zijn 2 cv-ketels die zorgen voor de verwarming en het warm water. De cv-ketel op de begane grond is van het merk Vaillant uit 2014. De cv-ketel op de overloop dateert van 2022 en is van het merk Vaillant.
De schuine kanten van het dak zijn geïsoleerd (allutherm) en de zoldervloer is geïsoleerd met glaswol.
Profiteer van het Zeeuwse Isolatie Programma van de Gemeente Sluis! Met deze subsidie kun je tot wel € 2.050,- ontvangen voor isolerende maatregelen, zelfs als je ze zelf uitvoert. En ja, dit geldt ook voor deze woning. Een geweldige kans om slim te investeren in jouw nieuwe thuis. Plan vandaag nog een bezichtiging en ontvang alle details over het Isolatie Programma van de makelaar!
Wij hebben een brochure van deze woning met duidelijke plattegronden met inrichting. Met 1 druk op de knop is deze te downloaden.
Ook is er nog een videofilm. Zelfs 360 gradenfoto’s en een virtuele tour behoren tot de promotie.
Wil je na dit alles bekeken te hebben meer informatie of een bezichtiging? De dames van Team Versluijs zijn er klaar voor.
Features
Transfer of ownership
- Original asking price
- € 369,000 kosten koper
- Listed since
- Acceptance
- Available in consultation
- Asking price
- € 349,000 kosten koper
- Asking price per m²
- € 1,994
- Status
- Available
Construction
- Kind of house
- Single-family home, detached residential property
- Building type
- Resale property
- Year of construction
- 1918
- Type of roof
- Hip roof covered with asphalt roofing and roof tiles
Surface areas and volume
- Areas
- Living area
- 175 m²
- Exterior space attached to the building
- 27 m²
- External storage space
- 6 m²
- Plot size
- 630 m²
- Volume in cubic meters
- 663 m³
Layout
- Number of rooms
- 5 rooms (3 bedrooms)
- Number of bath rooms
- 2 bathrooms
- Bathroom facilities
- 2 walk-in showers, 2 toilets, sink, and washstand
- Number of stories
- 2 stories
- Facilities
- Skylight, passive ventilation system, rolldown shutters, flue, sliding door, and TV via cable
Energy
- Energy label
- C
- Insulation
- Energy efficient window
- Heating
- CH boiler
- Hot water
- CH boiler
- CH boiler
- Vaillant (gas-fired combination boiler from 2022, in ownership)
Cadastral data
- OOSTBURG EN 189
- Cadastral map
- Area
- 630 m²
- Ownership situation
- Full ownership
Exterior space
- Location
- Alongside a quiet road and unobstructed view
- Garden
- Back garden
- Back garden
- 406 m² (58.00 metre deep and 7.00 metre wide)
- Garden location
- Located at the northwest with rear access
Storage space
- Shed / storage
- Detached wooden storage
- Facilities
- Electricity
Parking
- Type of parking facilities
- Public parking
Photos 40
Floorplans 2
© 2001-2025 funda









































