This house on Funda: https://www.funda.nl/en/detail/koop/soest/huis-clemensstraat-54/43260432/

Clemensstraat 543766 GX SoestDe Zoom
€ 1,149,000 k.k.
Eye-catcherVrijstaand wonen met slapen op de beg.grond, buitenleven (1.465 m2)!
Description
Sfeervolle, recent verduurzaamde vrijstaande woning op een riant perceel van 1.465 m2 met 4 slaapkamers en 2 badkamers, waaronder een slaap- en badkamer op de begane grond. De begane grond van deze woning heeft onlangs een gehele facelift ondergaan. Deze woning aan het water biedt een ideale woonomgeving voor liefhebbers van het buitenleven, met (paarden)stallen en een boomgaard met plantenkas. Nabij alle dagelijkse voorzieningen, uitvalswegen en openbaar vervoer. De woning heeft een eigen laadpaal, zonnepanelen en een warmtepomp.
Ligging:
Soest is een groene, levendige gemeente, omringd door bossen, weilanden en duinen, uitstekend verbonden met de Randstad. De woning ligt aan de rand van Soest, met zowel de winkels van Overhees als de natuur van landgoederen Hees en Pijnenburg op loopafstand. Even verderop ligt het bekende natuurgebied de Soester Duinen, een prachtige plek vol fiets-, ruiter- en wandelpaden voor ontspannen buitenactiviteiten.
De woning
Begane grond
Bij binnenkomst in de hal heb je toegang tot de lichte gestuukte woonkamer en een ruime slaapkamer met vernieuwde badkamer en suite, ideaal om levensloopbestendig te wonen. De badkamer (2024) heeft een inloopdouche, wastafelmeubel, designradiator, toilet, bidet en elektrische vloerverwarming. Aan de voorzijde van de woonkamer is de zithoek gesitueerd met een haard. De eetkamer, gelegen in een uitbouw met lichtkoepel, heeft een schuifpui naar het zonnige terras. De keuken is in 2024 geplaatst en is uitgerust met vaatwasser, inductiekookplaat, afzuigkap, combi-oven/magnetron en koelkast. De hagelnieuwe keuken heeft toegang tot de bijkeuken met cv-kast en aansluitingen voor het witgoed. Vanuit de bijkeuken is er een doorgang naar de ruime garage met grote bergzolder.
Eerste verdieping
De trapopgang vanuit de hal leidt naar de bovenverdieping. Vanuit de overloop vind je drie slaapkamers, elk voorzien van voldoende opbergruimte achter de knieschotten. Daarnaast is er een badkamer met douche, toilet en wastafel. Vanaf de overloop bereik je de vliering voor extra bergruimte.
De tuin
Vanuit de schuifpui bij de eetkamer stap je de zonnige achtertuin in. Hier vind je een riant terras met verschillende zithoeken. De tuin is prachtig omringd door bomen en groene borders, wat zorgt voor een oase van rust en privacy. Aan de rand van de tuin ligt een waterpartij die het geheel afmaakt.
Daarnaast zijn er (paarden)stallen met hooizolder, wat deze tuin perfect maakt voor dierenliefhebbers. Verderop vind je een boomgaard met plantenkas, die volop mogelijkheden biedt voor tuinieren en het kweken van je eigen groenten en fruit. Bij de stallen is een tweede oprit aanwezig en is er volop ruimte voor het plaatsen van bijvoorbeeld een trailer, aanhanger of ander materiaal. De boomgaard was voorheen in gebruik als paardenpaddock en kan opnieuw op die manier gebruikt worden.
Naast de garage bevindt zich een carport met oplaadpunt (stroom van eigen zonnepanelen) voor de elektrische auto en er is voldoende parkeergelegenheid op eigen terrein.
Deze woning biedt de perfecte combinatie van ruimte, comfort en een prachtige natuurlijke omgeving. Een unieke kans voor iedereen die op zoek is naar een droomhuis waar het buitenleven centraal staat!
KENMERKEN
- Bouwjaar 1990
- Perceeloppervlakte 1.465 m2
- Woonoppervlakte 154 m2
- Met paardenstallen en boomgaard
- Energielabel A
- Zonnepanelen, warmtepomp en laadpaal
- Gehele begane grond voorzien van vloerverwarming
- Gehele begane grond is gestuukt en gesausd
Features
Transfer of ownership
- Listed since
- Acceptance
- Available in consultation
- Asking price
- € 1,149,000 kosten koper
- Asking price per m²
- € 7,461
- Status
- Available
Construction
- Kind of house
- Country house, detached residential property
- Building type
- Resale property
- Year of construction
- 1990
- Type of roof
- Mansard roof covered with roof tiles
- Accessibility
- Accessible for the elderly
Surface areas and volume
- Areas
- Living area
- 154 m²
- Other space inside the building
- 26 m²
- Exterior space attached to the building
- 14 m²
- External storage space
- 32 m²
- Plot size
- 1,465 m²
- Volume in cubic meters
- 655 m³
Layout
- Number of rooms
- 6 rooms (4 bedrooms)
- Number of bath rooms
- 2 bathrooms and 1 separate toilet
- Bathroom facilities
- Bidet, walk-in shower, 2 toilets, underfloor heating, 2 sinks, 2 washstands, and shower
- Number of stories
- 2 stories and a loft
- Facilities
- Alarm installation, skylight, passive ventilation system, flue, sliding door, and solar panels
Energy
- Energy label
- A
- Insulation
- Double glazing and insulated walls
- Heating
- CH boiler, fireplace, partial floor heating and heat pump
- Hot water
- CH boiler
- CH boiler
- Remeha Tzerra ACE 39C (gas-fired combination boiler from 2024, in ownership)
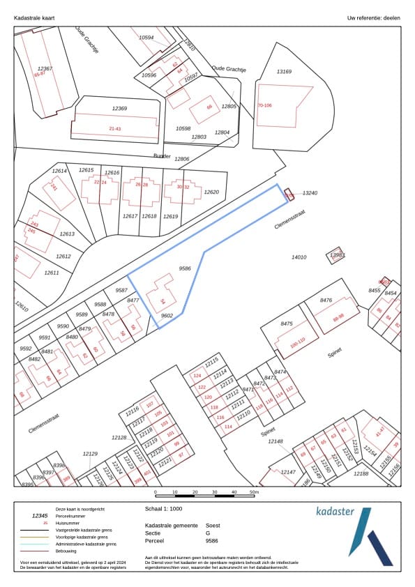
Cadastral data
- SOEST G 9586
- Cadastral map
- Area
- 1,465 m²
- Ownership situation
- Full ownership
Exterior space
- Location
- Alongside waterfront, sheltered location, in wooded surroundings and in residential district
- Garden
- Back garden, front garden, side garden and sun terrace
- Back garden
- 760 m² (89.40 metre deep and 8.50 metre wide)
- Garden location
- Located at the northwest with rear access
Storage space
- Shed / storage
- Detached brick storage
Garage
- Type of garage
- Attached brick garage, carport and parking place
- Capacity
- 1 car
- Facilities
- Electricity
Parking
- Type of parking facilities
- Parking on gated property and parking on private property
Photos 51
© 2001-2025 funda


















































