This house on Funda: https://www.funda.nl/en/detail/koop/verkocht/barchem/huis-doktersdijk-1/43912379/

Description
BUITEN, MAAR NIET BUITENAF
Vrijstaande, compleet te renoveren boerderij met meerdere, stenen bijgebouwen. Bij volledige sloop zijn er wellicht mogelijkheden voor het bouwen van 2 vrijstaande woningen (FAB regeling - sloop van minimaal 1.000 m²). Daarnaast zijn er mogelijkheden voor woningsplitsing, voor meer informatie kunt u de gemeente Lochem raadplegen. Momenteel heeft het geheel een agrarische bestemming.
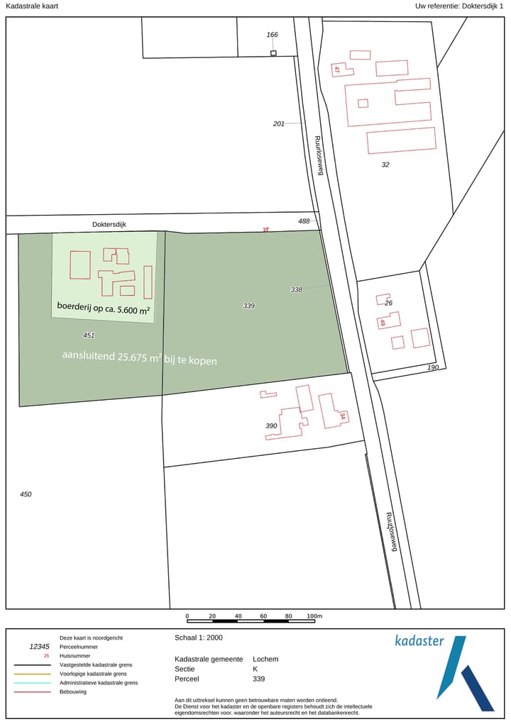
De boerderij met opstallen wordt aangeboden met ca. 5.600 m², maar kan aansluitend worden uitgebreid tot ruim 3 hectare. De zon draait perfect om het perceel met het achterhuis op het zuiden gesitueerd. Het uitzicht is zowel aan de voor- als achterzijde bijzonder fraai en weids over de omliggende landerijen.
Op slechts 1,5 kilometer van het dorp Barchem een fantastische locatie met veel rust en ruimte. Op 3 kilometer ligt het grotere dorp Ruurlo welke over alle faciliteiten beschikt zoals een treinstation, openluchtzwembad en breed winkelaanbod.
Een uitdagende plek, wie ‘pakt de handschoen op’?
PERCEEL
Het aangelegde erf rondom bedraagt ongeveer 5.600 m² maar kan uitgebreid worden tot maar liefst 31.275 m².
Zonnepark Bekenschot behoort tot de mogelijkheden in de toekomst, indien de realisatie volgt zal het door grond worden omgeven (zie projectsite).
Bijgebouwen:
Schuur 1: (ca. 21 x 15 meter) Grote schuur met drie stallen, diverse toegangsdeuren en zolder.
Schuur 2: (ca. 19 x 21 meter) Grote schuur met overkapping en twee stallen waarvan één met openslaande deuren.
Schuur 3: (ca. 11 x 7 meter) Schuur met garage en diverse toegangsdeuren.
Schuur 4: (ca. 25 x 6 meter) Dubbele schuur met diverse toegangsdeuren.
INDELING
Onderverdieping: Provisiekelder onder de opkamer met toegang vanuit de woonkamer.
Begane grond: Hal. Woonkamer met gaskachel en toegang naar slaapkamer en doorloop naar het achterhuis. Tweede slaapkamer waarvan één met vaste kast. Deel annex inpandige berging met meerdere buitendeuren.
Eetkamer met gaskachel. Dichte, eenvoudige keuken. Wasruimte met wasmachine aansluiting en uitstortbak. Toilet. Badkamer met ligbad en douche.
1e Verdieping: Voorhuis met overloop voorzien van vaste kast. Twee slaapkamers.
Tweede opgang naar het achterhuis met overloop en toegang tot de bergzolder. 3e Slaapkamer.
Bouwjaar: 1937. Perceel :ca. 5.600 m², mogelijkheid om bij te kopen tot 31.275 m². Inhoud: ca. 910 m³. Woonoppervlakte: ca. 130 m². Gaskachels. Gedeeltelijk dubbel glas. Energielabel G. Bijzonderheden: Agrarische bestemming. Asbest aanwezig. As is, where is/ouderdomsclausule. Houtvernielers aanwezig.
Features
Transfer of ownership
- Last asking price
- € 645,000 kosten koper
- Asking price per m²
- € 4,962
- Status
- Sold
Construction
- Kind of house
- Converted farmhouse, detached residential property
- Building type
- Resale property
- Year of construction
- 1937
- Specific
- Double occupancy possible, with carpets and curtains and renovation project
- Type of roof
- Combination roof covered with roof tiles
- Accessibility
- Accessible for people with a disability and accessible for the elderly
Surface areas and volume
- Areas
- Living area
- 130 m²
- Other space inside the building
- 109 m²
- External storage space
- 773 m²
- Plot size
- 5,600 m²
- Volume in cubic meters
- 910 m³
Layout
- Number of rooms
- 7 rooms (5 bedrooms)
- Number of bath rooms
- 1 bathroom and 1 separate toilet
- Bathroom facilities
- Shower and bath
- Number of stories
- 2 stories and a basement
- Facilities
- Skylight, passive ventilation system, and flue
Energy
- Energy label
- G
- Insulation
- Partly double glazed
- Heating
- Gas heaters
- Hot water
- Electrical boiler
Cadastral data
- LOCHEM K 451
- Cadastral map
- Area
- 5,600 m² (part of parcel)
- Ownership situation
- Full ownership
Exterior space
- Location
- Alongside a quiet road, outside the built-up area, in wooded surroundings, rural and unobstructed view
- Garden
- Surrounded by garden
Storage space
- Shed / storage
- Detached brick storage
Garage
- Type of garage
- Detached brick garage
- Capacity
- 6 cars
- Facilities
- Loft, electricity and running water
Parking
- Type of parking facilities
- Parking on private property
Photos 31
© 2001-2025 funda






























