This house on Funda: https://www.funda.nl/en/detail/koop/verkocht/den-bosch/huis-tongelaer-14/43963207/

Description
Royale, geschakelde gezinswoning met 4 slaapkamers en een onderhoudsvriendelijke tuin met een houten berging en een achterom naar een leuke speelvoorziening. De eigen oprit voor 2 auto’s maakt het extra aantrekkelijk. De woning is gelegen aan een rustige straat met hoofdzakelijk bestemmingsverkeer in de geliefde woonwijk De Maaspoort, op korte loopafstand van het mooie Burgemeester van Zwietenpark en de Noorderplas. Tevens uitstekend gesitueerd ten opzichte van diverse voorzieningen en met de uitvalswegen op korte afstand.
Inhoud ca. 461 m3, woonopp. ca. 129 m2, perceelopp ca. 153 m2, bouwjaar 1979.
Begane grond;
Entree in de hal met vaste kastruimte en toegang tot de ruim opgezette, doorzon-woonkamer, die is afgewerkt met een antracietgrijze tegelvloer met vloerverwarming. De grote raampartijen aan weerszijden zorgen voor een fijne hoeveelheid lichtinval. Aan de voorzijde bevindt zich de leefkeuken met een licht keukenmeubel in hoekopstelling, dat is voorzien van diverse inbouwapparatuur: een 5-pits gasfornuis, afzuiger, combi-oven/magnetron, vaatwasser en een koel/vries-combinatie. Er is voldoende ruimte voor een grote eettafel. Het royale L-vormige zitgedeelte bevindt aan de achterzijde en heeft een openslaande deur naar de tuin. Halverwege de woonkamer is een portaal met de toiletruimte (met zwevend closet en fonteintje) en de trapopgang naar de 1e verdieping. De tuin is onderhoudsarm en kindvriendelijk aangelegd. Door de vrije ligging aan de achterzijde geniet je hier van veel privacy. Achterin de tuin bevindt zich een ruime houten berging en een achterom naar een pleintje met speelvoorzieningen.
1e Verdieping:
Overloop met een bergkast en toegang tot 3 lichte, nette slaapkamers, afgewerkt met een laminaatvloer. De slaapkamer aan de voorzijde beschikt over een vaste garderobekast, de 2 slaapkamers aan de achterzijde zijn extra ruim door de grote dakkapel. De badkamer zal je verrassen. Doordat een voormalige vide bij de badkamer is getrokken, heb je de beschikking over een ruime en complete badkamer, die sfeervol is afgewerkt en betegeld. Naast een hoekbad en een ruime inloopdouche, bevinden zich hier nog een wandcloset, designradiator en een meubel met fraaie waskommen. Een Velux raam zorgt voor ventilatie en daglichttoetreding.
2e Verdieping:
Zeer royale 4e slaapkamer met 2 grote Velux dakramen, een lichte laminaatvloer en vaste kastruimte. In een berging bevinden zich de aansluitpunten voor de wasapparatuur, de standplaats van de CV-ketel en de mechanische ventilatie-unit. De mogelijkheid bestaat om de kamer op te splitsen en zodoende een 5e slaapkamer te realiseren.
Deze goed onderhouden woning is grotendeels geheel voorzien van dubbele beglazing en beschikt over diverse rolluiken. Rustig en kindvriendelijk gelegen aan het begin van de woonwijk Maaspoort. De ligging ten opzichte van alle voorzieningen is zeer centraal te noemen. Op loopafstand bevindt zich winkelcentrum de Lokerenpassage en het fraaie Burgemeester van Zwietenpark met de Noorderplas. Ook scholen, sportvoorzieningen en uitvalswegen zijn vanaf deze fijne locatie prima te bereiken. Het gezellige centrum van ’s-Hertogenbosch is op enkele autominuten gesitueerd.
Features
Transfer of ownership
- Last asking price
- € 450,000 kosten koper
- Asking price per m²
- € 3,488
- Status
- Sold
Construction
- Kind of house
- Single-family home, semi-detached residential property
- Building type
- Resale property
- Year of construction
- 1979
- Type of roof
- Gable roof covered with roof tiles
Surface areas and volume
- Areas
- Living area
- 129 m²
- External storage space
- 7 m²
- Plot size
- 153 m²
- Volume in cubic meters
- 461 m³
Layout
- Number of rooms
- 5 rooms (4 bedrooms)
- Number of bath rooms
- 1 bathroom and 1 separate toilet
- Bathroom facilities
- Shower, double sink, bath, and toilet
- Number of stories
- 3 stories
- Facilities
- Skylight, mechanical ventilation, and rolldown shutters
Energy
- Energy label
- D
- Insulation
- Double glazing
- Heating
- CH boiler and partial floor heating
- Hot water
- CH boiler
- CH boiler
- Vaillant (gas-fired combination boiler from 2004, in ownership)
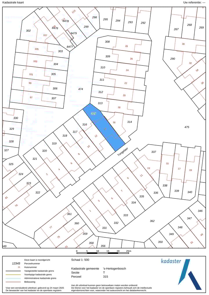
Cadastral data
- 'S-HERTOGENBOSCH T 315
- Cadastral map
- Area
- 153 m²
- Ownership situation
- Full ownership
Exterior space
- Location
- Alongside a quiet road and in residential district
- Garden
- Back garden and front garden
- Back garden
- 43 m² (9.15 metre deep and 6.00 metre wide)
- Garden location
- Located at the northwest with rear access
Storage space
- Shed / storage
- Detached wooden storage
Parking
- Type of parking facilities
- Parking on private property
Photos 37
© 2001-2025 funda




































