
Description
Deze sfeervolle en karakteristieke woning is gelegen in de geliefde oude dorpskern van Elsloo.
Het kasteelpark ligt op steenworp afstand evenals winkels en scholen, daarnaast is er een goede verbinding naar de autosnelweg. Het kasteelpark loopt naadloos over in het Elsloërbos en Bunderbos, ideaal voor de natuurliefhebbers! Het pand is nagenoeg geheel voorzien van dubbelglas in houten kozijnen (3 kleine raampjes zijn nog enkel glas). Via een gezamenlijke opgang bereikt men de voordeur van deze bijzonder sfeervolle, unieke woning en dus geniet van alle rust. Vanuit de woning loopt men (over de gezamenlijke opgang)naar de eigen tuin. De tuin is eveneens bijzonder sfeervol en geheel omsloten. Er is een tuinberging en overkapping.
!! VIRTUEEL BINNENKIJKEN MET DE LINK !!
Indeling
De royale leefkeuken is voorzien van een tegelvloer met vloerverwarming, dubbele deuren naar de gezamenlijke opgang en een moderne aanbouwkeuken met afzuigkap, gaskookplaat, koelkast, vaatwasser en combi magnetron.
Via een aantal traptreden bereikt men de hoger gelegen woonkamer met laminaatvloer, schouwpartij en trap naar de eerste verdieping.
Eveneens is hier een portaal met toiletruimte.
Eerste verdieping
De eerste verdieping is voorzien van een laminaatvloer. Er zijn 2 slaapkamers en een kleedkamer. De ouderslaapkamer heeft een steigerhouten vaste kast.
De royale bergruimte met dakraam is gelegen aan het einde van de overloop en hier bevindt zich de wasmachineaansluiting, berging en eveneens toegang tot de standplaats van de cv-ketel.
De badkamer is voorzien van een ligbad, douche, dubbele wastafel en 2de toilet.
Op de overloop is ook nog een ruime inbouwkast.
Bijzonderheden
- Bijzonder geliefde locatie in Oud Elsloo dé oude dorpskern met al zijn charme en authentieke gebouwen;
- Karakteristieke tussengelegen woning met eigen patiotuin en buitenberging;
- Aan de rand van het kasteelpark, Elsloërbos en Bunderbos met prachtige wandelmogelijkheden;
- Snelle verbinding naar de autosnelweg en nabij openbaar vervoer;
- Nagenoeg geheel dubbelglas in houten kozijnen ( 3 raampjes zijn enkel glas, wc, voordeur en woonkamer raampje);
- Vloerverwarming in de leefkeuken;
- Verscholen ligging met alle rust en privacy;
- Sfeervolle inrichting en instapklaar;
Tot slot:
- Deze verkoopinformatie is met de nodige zorgvuldigheid samengesteld. Hierbij zijn wij deels afhankelijk van informatie die wij van derden ontvangen. Aan onjuistheden en/of onvolkomenheden kunt u echter geen rechten ontlenen. Indien bepaalde informatie voor u van wezenlijk belang is dan adviseren wij u deze op juistheid te controleren. Onzerzijds wordt geen aansprakelijkheid aanvaardt voor enige onvolledigheid, onjuistheid of anderszins, dan wel de gevolgen daarvan. Alle opgegeven maten en oppervlakten zijn indicatief;
- Koper is te allen tijde gerechtigd om voor eigen rekening een bouwkundig onderzoek te (laten) verrichten, dan wel andere adviseurs te raadplegen teneinde een goed inzicht te verkrijgen in de staat van onderhoud of andere aspecten van de onroerende zaak. Koper dient bij het doen van een bod wel direct aan te geven of hij een dergelijk onderzoek wenst;
- De waarborgsom/bankgarantie is 10% van de koopsom. De koper dient deze 1 week na het vervallen van de ontbindende voorwaarden bij de desbetreffende notaris te deponeren;
- Ter bescherming van de belangen van zowel koper als verkoper, wordt uitdrukkelijk gesteld dat een koopovereenkomst met betrekking tot deze onroerende zaak eerst dan tot stand komt, nadat koper en verkoper de koopovereenkomst hebben getekend ("schriftelijkheidsvereiste").
Features
Transfer of ownership
- Original asking price
- € 335,000 kosten koper
- Last asking price
- € 325,000 kosten koper
- Asking price per m²
- € 2,407
- Status
- Sold
Construction
- Kind of house
- Single-family home, row house
- Building type
- Resale property
- Year of construction
- 1912
- Specific
- With carpets and curtains
- Type of roof
- Gable roof covered with roof tiles
Surface areas and volume
- Areas
- Living area
- 135 m²
- External storage space
- 9 m²
- Plot size
- 150 m²
- Volume in cubic meters
- 454 m³
Layout
- Number of rooms
- 4 rooms (3 bedrooms)
- Number of bath rooms
- 1 bathroom and 1 separate toilet
- Bathroom facilities
- Shower, bath, toilet, and sink
- Number of stories
- 2 stories
- Facilities
- Skylight and flue
Energy
- Energy label
- Insulation
- Mostly double glazed
- Heating
- CH boiler
- Hot water
- CH boiler
- CH boiler
- Gas-fired from 2013, to rent
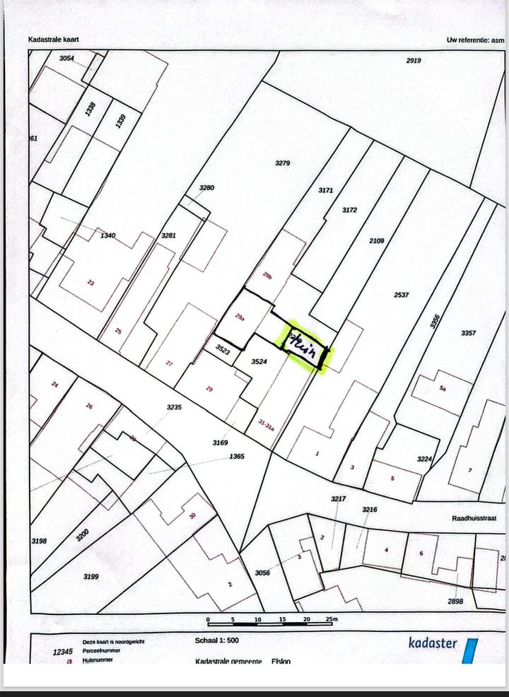
Cadastral data
- ELSLOO C 2278
- Cadastral map
- Area
- 150 m²
- Ownership situation
- Full ownership
Exterior space
- Location
- On the edge of a forest, alongside a quiet road, sheltered location, in wooded surroundings and in residential district
- Garden
- Deck
- Deck
- 24 m² (6.00 metre deep and 4.00 metre wide)
- Garden location
- Located at the west with rear access
Storage space
- Shed / storage
- Detached wooden storage
Parking
- Type of parking facilities
- Public parking
Photos 37
© 2001-2026 funda




































