This house on Funda: https://www.funda.nl/en/detail/koop/verkocht/welsum/huis-zijlweg-15/43739075/

Description
Deze voormalige huurwoning wordt te koop aangeboden waarbij de voorrangsregeling voor huurders van SallandWonen van toepassing is!
Deze karakteristieke twee-onder-een-kapwoning is prachtig gelegen in het landelijke dorp Welsum, dichtbij de IJssel. Vanuit de woning geniet u van een schitterend uitzicht over het groen, met op de voorgrond een authentieke molen en daarachter de IJssel. De woning biedt een uitstekende kans voor kopers die hun droomhuis willen realiseren, want deze dient volledig gemoderniseerd te worden. Het geheel ligt op een royale kavel van maar liefst 263 m².
Indeling:
Begane grond: Via de entree/hal betreedt u de woning. Hier bevindt zich het toilet. De gezellige woonkamer biedt veel mogelijkheden en grenst aan de dichte keuken, die is voorzien van een eenvoudig keukenblok. Aansluitend vindt u de bijkeuken, die toegang biedt tot de riante achtertuin.
1e Verdieping: De overloop geeft toegang tot twee slaapkamers, een toiletruimte met wastafel (voorheen badkamer) en een badkamer met douche en wastafel.
Zolder: Middels vlizotrap te bereiken bergzolder.
Deze woning combineert een idyllische locatie met volop potentie om geheel naar eigen wens in te richten. Ideaal voor liefhebbers van rust, ruimte en natuur. Plan vandaag nog een bezichtiging om de mogelijkheden zelf te ervaren!
Bijzonderheden:
- Dakbeschot van de woning is voorzien van asbesthoudende ethernetplaten;
- Provisiekelder aanwezig welke niet waterdicht is;
- Verwarming geschiedt d.m.v. een c.v.-ketel 2018;
- De woning betreft een voormalige huurwoning van de woningstichting;
- De koper van deze woning is verplicht de woning zelf te bewonen voor een periode van 2 jaar. Bij verkoop binnen 2 jaar dient koper deze clausule weer op te nemen aan de nieuwe eigenaar middels een kettingbeding;
- Koper is verplicht de juridische overdracht te laten plaatsvinden bij de aangestelde projectnotaris;
- Er is geen bouwtechnische keuring aanwezig. Koper wordt in de mogelijkheid gesteld om zelf een bouwtechnische
keuring te laten uitvoeren. De woning wordt opgeleverd in de huidige staat;
- De woning wordt verkocht in de huidige staat inclusief eventuele aanwezige roerende zaken;
Huurders van SallandWonen (welke een woning achterlaten) hebben onder bepaalde voorwaarden voorrang. Vanaf de publicatiedatum van de advertentie (4-12-2024) heeft de huurder 3 werkdagen de tijd om zijn/haar interesse kenbaar te maken bij de makelaar. Meer informatie over deze voorwaarden en spelregels kunnen worden opgevraagd bij Salland Makelaardij
Features
Transfer of ownership
- Last asking price
- € 285,000 kosten koper
- Asking price per m²
- € 3,608
- Status
- Sold
Construction
- Kind of house
- Single-family home, double house
- Building type
- Resale property
- Year of construction
- 1959
- Type of roof
- Gable roof covered with roof tiles
Surface areas and volume
- Areas
- Living area
- 79 m²
- External storage space
- 6 m²
- Plot size
- 263 m²
- Volume in cubic meters
- 290 m³
Layout
- Number of rooms
- 4 rooms (2 bedrooms)
- Number of bath rooms
- 1 bathroom and 1 separate toilet
- Bathroom facilities
- Shower and sink
- Number of stories
- 2 stories and an attic
- Facilities
- Optical fibre, passive ventilation system, and TV via cable
Energy
- Energy label
- C
- Insulation
- Double glazing, energy efficient window and insulated walls
- Heating
- CH boiler
- Hot water
- CH boiler
- CH boiler
- Nefit (gas-fired combination boiler from 2018, in ownership)
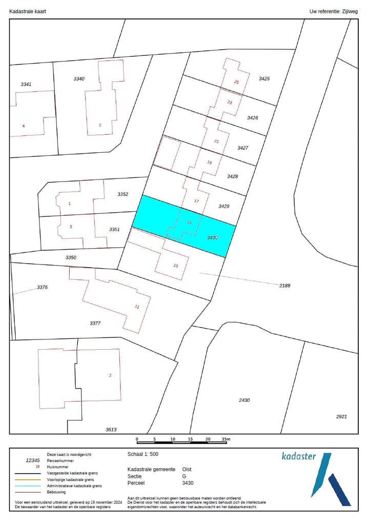
Cadastral data
- OLST G 3430
- Cadastral map
- Area
- 263 m²
- Ownership situation
- Full ownership
Exterior space
- Location
- Alongside a quiet road and unobstructed view
- Garden
- Back garden and front garden
- Back garden
- 125 m² (12.50 metre deep and 10.00 metre wide)
- Garden location
- Located at the northwest with rear access
Storage space
- Shed / storage
- Detached wooden storage
- Insulation
- No cavity wall
Parking
- Type of parking facilities
- Parking on private property
Photos 18
© 2001-2025 funda

















