This house on Funda: https://www.funda.nl/en/detail/koop/wittem/huis-ireneweg-16/89344966/

Description
Op een rustige locatie nabij de kern van het dorp Nijswiller en grenzend aan de Selzerbeek, ligt deze twee-onder-een-kapwoning met een fijne, diepe tuin op het Zuid-Oosten. De woning heeft recent al stappen gezet op het gebied van verduurzaming, maar een modernisering is wenselijk om het geheel weer helemaal naar de eisen van deze tijd te brengen. Het huis beschikt op de begane grond over een L-vormige woonkamer met aansluitend een ruime keuken. Dankzij een eenvoudige aanbouw aan de achterzijde is er wat extra leefruimte gecreëerd. Op de eerste verdieping vinden we drie nette slaapkamers en zijn er tevens een extra berging en een badkamer van goed formaat aanwezig. Middels een vlizotrap is de zolderverdieping bereikbaar met voldoende plek als extra bergruimte of een eventuele extra slaapkamer. Kortom, een woning met potentie ideaal voor kopers die niet bang zijn om de handen uit de mouwen te steken!
Nijswiller is één van de vele authentieke dorpjes in het Heuvelland, daar waar het leven nog op een rustiger standje gevoerd kan worden. Eens te meer doordat dit dorp omringd wordt door veel groen en ruimte. Nijswiller is ook zeer centraal gelegen, uitvalswegen liggen letterlijk om de hoek en openbaar busvervoer is ruim voorhanden. Zo zijn steden als Aken, Maastricht en Heerlen snel bereikbaar. Voorzieningen zijn in de dichtbij gelegen kernen Simpelveld, Vaals en Gulpen te vinden. Voor ontspanning zijn er ontelbare wandel- en fietsroutes beschikbaar, dat zal nooit vervelen. Een ideale combinatie om centraal te wonen midden in het vijfsterrenlandschap van Zuid Limburg.
Bijzonderheden
* De woning is grotendeels voorzien van kunststof kozijnen met HR++ beglazing
* HR combi CV-installatie, Nefit Proline HRC 24, bouwjaar omstreeks 2010, eigendom
* Duco mechanische ventilatie unit is vervangen in 2023
* In 2023 is de woning voorzien van een nieuwe meterkast, is er spouwmuur- en dakisolatie aangebracht en isolerend glas geplaatst als onderdeel van een duurzaamheidsingreep.
* Huurders van Wonen Wittem of andere corporaties die een sociale huurwoning achterlaten in de gemeente Gulpen-Wittem verkrijgen voorrang.
* Aanvaarding in overleg, op korte termijn mogelijk
Globale indeling
Souterrain
Kelder
Begane grond
Entree, hal met meterkast
Toilet voorzien van staand closet
L-vormige woonkamer voorzien van tegelvloer, muurkast
Gesloten keuken, ¾ betegeld, voorzien van aanrechtblok
Serre voorzien van tegelvloer, dubbele deuren naar de tuin, witgoedaansluitingen
Berging
Eerste verdieping
Overloop, voorzien van
Slaapkamer I met muurkast
Bergruimte
Slaapkamer II met muurkast
Slaapkamer III met Frans balkon
Badkamer, ¾ betegeld, voorzien van douchecabine, toilet met staand closet en wastafel
Tweede verdieping
Per vlizotrap bereikbare bergzolder
CV-installatie
Features
Transfer of ownership
- Last asking price
- € 260,000 kosten koper
- Asking price per m²
- € 2,222
- Status
- Sold
Construction
- Kind of house
- Single-family home, double house
- Building type
- Resale property
- Year of construction
- 1960
- Type of roof
- Gable roof covered with roof tiles
Surface areas and volume
- Areas
- Living area
- 117 m²
- Other space inside the building
- 39 m²
- Plot size
- 425 m²
- Volume in cubic meters
- 537 m³
Layout
- Number of rooms
- 6 rooms (3 bedrooms)
- Number of bath rooms
- 1 bathroom and 1 separate toilet
- Bathroom facilities
- Shower, toilet, and sink
- Number of stories
- 2 stories, an attic, and a basement
- Facilities
- Skylight, french balcony, mechanical ventilation, and passive ventilation system
Energy
- Energy label
- A
- Insulation
- Roof insulation, energy efficient window and insulated walls
- Heating
- CH boiler
- Hot water
- CH boiler
- CH boiler
- Nefit Proline HRC 24 (gas-fired combination boiler from 2010, in ownership)
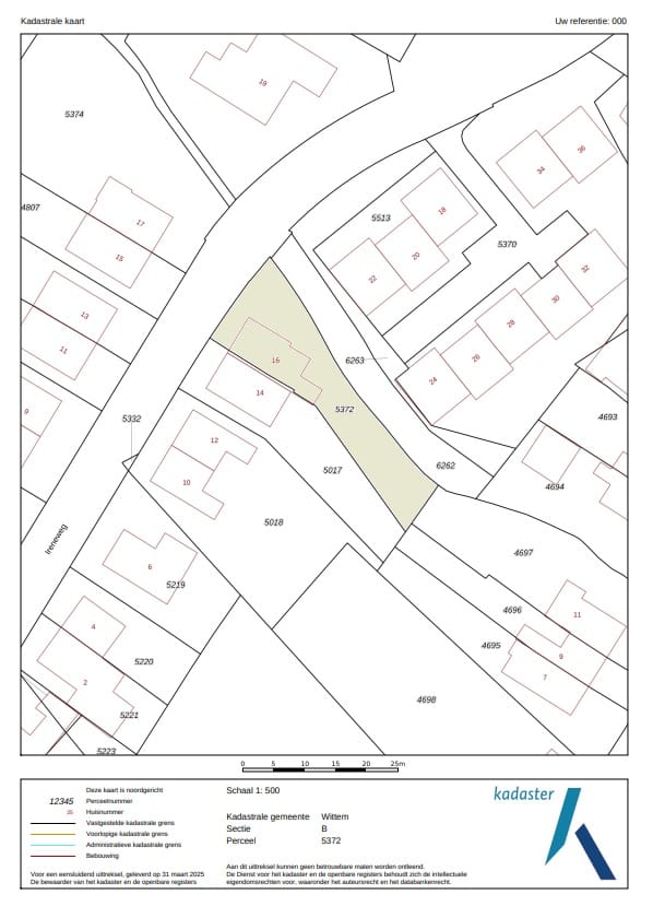
Cadastral data
- WITTEM B 5372
- Cadastral map
- Area
- 425 m²
- Ownership situation
- Full ownership
Exterior space
- Balcony/roof garden
- French balcony present
- Location
- Alongside a quiet road, alongside waterfront and in residential district
- Garden
- Back garden, front garden and side garden
- Back garden
- 216 m² (24.00 metre deep and 9.00 metre wide)
- Garden location
- Located at the southeast with rear access
Storage space
- Shed / storage
- Attached brick storage
Parking
- Type of parking facilities
- Public parking
Photos 22
© 2001-2025 funda





















