This house on Funda: https://www.funda.nl/en/detail/recreatie/terherne/huis-jongebuorren-37/43823161/

Jongebuorren 378493 LX TerherneTerherne
€ 600,000 k.k.
Eye-catcherOp fantastische locatie aan open vaarwater deze ruime recreatiewoning
Description
Op fantastische locatie aan open vaarwater staat deze prachtige ruime en lichte recreatiewoning met vrij uitzicht over het Sneekermeer vanaf het zonnige dakterras. De woning heeft een eigen aanlegsteiger met vlonderterras aan het water waar je je boot kunt afmeren en van waar je binnen enkele minuten naar het Sneekermeer vaart met toegang tot de rest van De Friese Meren. Het is ultiem genieten van watersport en waterpret direct vanaf je terras en tuin. Deze woning is gelegen in een kleinschalig recreatiepark en er zijn uitstekende verhuurmogelijkheden via Landal Waterpark Sneekermeer, wat overigens niet verplicht is.
Indeling: entree via trapopgang op de 1e verdieping van de woning, hal met meterkast, bijkeuken met wasmachine-aansluiting met mechanische ventilatie, toilet met fonteintje en toegang naar de ruime en lichte woonkamer met dubbele schuifpui naar het dakterras. Open keuken voorzien van vaatwasmachine, koelkast, combi-magnetron, inductiekookplaat en afzuigkap. In de woonkamer bevindt zich de trap naar de begane grond waar 3 slaapkamers aanwezig zijn, alsmede een badkamer met ligbad, douchecabine, 2e toilet en wastafel. Berging met de opstelling van de C.V. installatie.
Algemeen: bouwjaar 2011, gebruiksoppervlakte wonen ± 120 m², inhoud ± 413 m³ en perceelgrootte 500 m². De woning wordt verwarmd door radiatoren die aangestuurd worden door een C.V. installatie (AWB, 2022) die tevens voorziet in het warme water. De woning is geheel geïsoleerd en heeft 16 stuks zonnepanelen op het dak. Vanaf het ruime dakterras is een trap naar het vlonderterras op de begane grond met zwemtrap en eigen aanlegsteiger. De woning wordt verkocht compleet met inventaris die in 2020/2021 grotendeels is vernieuwd. Het schilderwerk intern is in 2020 gedaan. Terherne is een klein en knus watersportdorp waar in de zomermaanden veel gezelligheid is op de diverse terrassen bij de horeca gelegenheden. In de directe omgeving zijn ook volop mogelijkheden om te wandelen en te fietsen.
Deze woning wordt op dit moment aangeboden voor de verhuur en heeft een hoge bezettingsgraad. De parklasten bedragen € 1.332,69 (excl.BTW) per jaar. Wacht niet te lang en maak snel een afspraak voor een bezichtiging. Unieke plekjes als deze zijn zelden beschikbaar.
Features
Transfer of ownership
- Listed since
- Acceptance
- Available in consultation
- Asking price
- € 600,000 kosten koper
- Status
- Available
- Permanent occupancy
- Permanent occupancy is not allowed
Construction
- Kind of house
- Single-family home, detached residential property
- Building type
- Resale property
- Year of construction
- 2011
- Specific
- Furnished and with carpets and curtains
- Type of roof
- Gable roof covered with roof tiles
Surface areas and volume
- Areas
- Living area
- 120 m²
- Exterior space attached to the building
- 26 m²
- Plot size
- 500 m²
- Volume in cubic meters
- 413 m³
Layout
- Number of rooms
- 4 rooms (3 bedrooms)
- Number of bath rooms
- 1 bathroom and 1 separate toilet
- Bathroom facilities
- Shower, bath, toilet, and sink
- Number of stories
- 2 stories
- Facilities
- Mechanical ventilation, sliding door, TV via cable, and solar panels
Energy
- Energy label
- A
- Insulation
- Roof insulation, double glazing, insulated walls and floor insulation
- Heating
- CH boiler
- Hot water
- CH boiler
- CH boiler
- AWB (gas-fired combination boiler from 2022, in ownership)
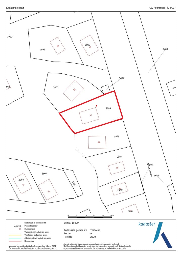
Cadastral data
- TERHORNE A 2999
- Cadastral map
- Area
- 500 m²
- Ownership situation
- Full ownership
Exterior space
- Location
- Alongside a quiet road, along waterway, alongside waterfront, sheltered location, unobstructed view and in recreation park
- Garden
- Back garden, front garden and side garden
- Back garden
- 24 m² (6.00 metre deep and 4.00 metre wide)
- Garden location
- Located at the southwest with rear access
- Balcony/roof terrace
- Roof terrace present
Parking
- Type of parking facilities
- Parking on private property
Photos 33
Floorplans 2
© 2001-2025 funda


































