Kuzemerweg 34-A9821 TB OldekerkVerspreide huizen Oldekerk
€ 325.000 v.o.n.
- 5.825 m²perceel
Omschrijving
Heeft u altijd al uw eigen (schuur)woning willen laten bouwen in een landelijke omgeving? Dan is dit uw kans! Deze twee ruime bouwkavels nabij het Groningse Oldekerk bieden u de mogelijkheid om in een mooie groene omgeving uw droomhuis te realiseren. De kavels, gelegen aan de Kuzemerweg, hebben met een oppervlakte van circa 6.000 m² per kavel, alle rust en ruimte om te genieten van het vrije uitzicht over de landerijen en het prachtige coulisselandschap.
De nieuwe bouwkavels, kavel A en kavel B, zijn gerealiseerd middels de ‘Ruimte voor Ruimte’ regeling. Hierbij zijn de bedrijfsopstallen van de voormalige boerderij aan de Kuzemerweg 34 gesloopt en is er, naast de bestaande woning, plaats gemaakt voor twee extra bouwkavels waarbij de bestemming is gewijzigd van agrarisch naar wonen. Op deze bouwkavels (kavel A en kavel B) is een bouwvlak van 300m² aangeduid waarin een woning gebouwd mag worden. De ontsluiting van de woningen zal verlopen via een verharde toegang aan de oostkant van de beide kavels.
Kenmerken van bouwkavel A:
- Kavel grootte: 5.825 m²
- Bouwvlak van 300 m²
- koopsom is inclusief BTW, kadaster en notariskosten
- Bestemming: Wonen
- Verkoper realiseert de bouwaansluiting voor elektriciteit en water
Extra informatie:
- Voor deze kavels gelden de volgende regels m.b.t. de te bouwen woningen:
De te realiseren woningen zullen aan enkele regels moeten voldoen om in het omgevingsplan van de gemeente Westerkwartier te passen.
Zo mag er per bouwkavel niet meer dan 1 woonhuis worden gebouwd. Eventuele aanbouw, uitbouw of bijgebouw dient binnen het bouwvlak te worden gebouwd en als één bouwmassa.
De goothoogte mag niet meer bedragen dan 3,50meter en de bouwhoogte niet meer bedragen dan 9meter. De dakhelling niet minder dan 25° en niet meer dan 60° bedragen. Voor meer informatie omtrent het omgevingsplan van de gemeente Westerkwartier en de regels die hierbij van toepassing zijn kunt u het omgevingsloket () raadplegen.
- De verkoper heeft de huidige weg als "bouwweg" aangelegd. Verkoper realiseert een toplaag van asfalt/beton/klinkers
- De kavels, gelegen buiten de dorpskern van Oldekerk, bevinden zich op slechts 5 minuten van het treinstation, Grijpskerk (spoorlijn Groningen/Leeuwarden). Naast de kavels, aan de Munnikeweg, bevindt zich een bushalte en ligt op korte afstand van de A7.
- Oldekerk is samen met Niekerk, qua voorzieningen, een zéér compleet dorp. Het beschikt over alle basisvoorzieningen waaronder een supermarkt en diverse speciaalzaken. Basisscholen en het voortgezet onderwijs van Terra Oldekerk zijn eveneens aanwezig. Op medisch- en sportgebied zijn er voldoende voorzieningen. En wat recreatie betreft is zwembad "Eekeburen" voorhanden of de “Kuzemerkooi”, een gebied van circa 10 hectare voor ontspanning, natuur en recreatie.
De getoonde foto's/ontwerpen zijn slechts ter inspiratie en ontworpen door Waterman Architectuur Projecten. Hieraan kunnen geen rechten worden ontleend. De architect is van harte bereid om ook u te begeleiden naar een fraai en op maat gemaakte woning.
Enthousiast over deze bouwkavel, en wilt u meer weten over de mogelijkheden? Neem dan contact met ons op.
Advertentie
Kenmerken
Overdracht
- Aangeboden sinds
- Aanvaarding
- In overleg
- Vraagprijs
- € 325.000 vrij op naam
- Status
- Beschikbaar
Bouw
- Soort object
- Bouwgrond
- Bouwrijp
- Nee
Indeling
- Perceel
- 5.825 m²
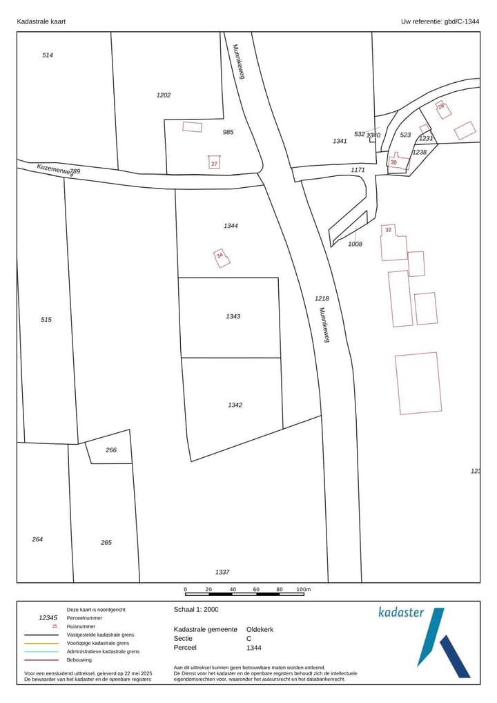
Kadastrale gegevens
- OLDEKERK C 1343
- Kadastrale kaart
- Oppervlakte
- 5.825 m²
- Eigendomssituatie
- Volle eigendom
Buitenruimte
- Ligging
- Buiten bebouwde kom, landelijk gelegen, open ligging en vrij uitzicht
Populariteit
7.162x
Bekeken
85x
Bewaard
16-6-2025
Op Funda
Buurt

Verspreide huizen Oldekerk
Oldekerk- Inwoners
- 635
- Gezin met kinderen
- 44%
Ontdek de buurt
Benieuwd naar het woningaanbod, bewoners en lokale makelaars?
Wil je dit huis niet vergeten?
Bewaar het als favoriet. Dan vind je ’m makkelijk terug en krijg je een seintje bij veranderingen.




